▌林 枝
北京的城与门,一直是人们关注的热点。今天笔者要讲这样一座城门,算起来,它距今已有近九百年,是金中都的一座城门。这座城门很有意思,短短几十年里,一会儿开辟,一会儿又给堵上,好似犹抱琵琶半遮面,来来回回一折腾,连史料记载都不统一。它就是光泰门。
这里就回顾金中都光泰门经历的那些事儿,揭开它的神秘面纱,认识其真面目。

让时间往前飞一会儿。金贞元元年(1153年)三月,金朝皇帝海陵王诏告天下,正式将金朝的国都,从上京(今哈尔滨阿城区白城镇)迁到辽燕京城,并改名中都,始称金中都。在此之前的两年,海陵王就诏令尚书省右丞相张浩等人扩建燕京城,并营建皇宫苑囿。两年的时间,工期紧张,号称投入民夫八十万,兵夫四十万,日夜辛劳,其中因劳累而死的人不计其数。
修中都城还有一个小故事。元代熊梦祥著的《析津志辑佚》中记载,修中都城所用之土,取自涿州。取土时,人一字排开,装好土的筐从涿州传递进来,到中都卸掉后再将空筐传递回涿州,周而复始。北京到涿州有百里路途,如此运输需要投入的人力十分巨大,远没有其他运输方式划算,想来是有些夸张的地方。在生产力和生产工具低下的当时,估计在部分特殊地段采用这种方式,也确是一种巧妙的解决办法。
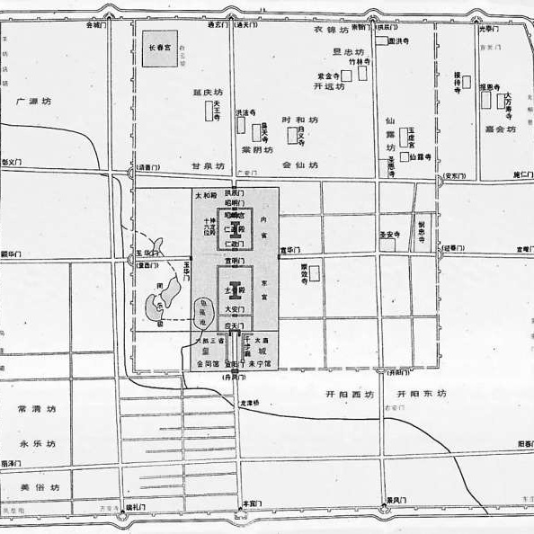
修建好的中都城,规模比辽燕京城更大。通过史料和考古发掘,目前达成共识的是城池东城垣、南城垣和西城垣均向外扩展,北城垣普遍认为没有改变。但也有说法提出,北垣扩展虽无文献记载,实际也与辽燕京城有所改变,还有待进一步考证。1958年,专家对中都城进行考古测量,城墙共长18.69千米,约为37里。

金中都城气势磅礴,规模宏大。清代于敏中等编纂的《日下旧闻考》中记载,中都城宫阙壮丽,道路纵横,连绵不绝,秦朝的阿房宫,汉朝的建章宫,也不过如此。值得注意的是,蒙古人攻占中都,城池损坏严重,元人又在其东北角新建大都城。中都城虽毁犹在,仍有人居住生活。两城并存,时人称为南城。直到二百余年后的明嘉靖年间,修建北京外城时城垣才遭到破坏,逐渐废弃消亡。
《大金国志》中记载,金中都城门有十二个,东面是施仁、宣曜、阳春三门;南面是景风、丰宜、端礼三门;西面是丽泽、灏华、彰义三门;北面是会城、通元、崇智三门。而《金史》中记载,中都城门却是十三个,除上面的十二门,北面还多一个光泰门。城门可不是小物件,不会凭空消失出现,究竟谁是谁非?《析津志辑佚》中给出一丝线索。《析津志辑佚》记载中都的桥梁时,提到无名桥在崇智门外有一座,光泰门外还有一座。也就是说光泰门确实存在,可好端端为什么要多出一个城门,其中又发生哪些事情?
这回把空间拉远一些。在中都城的东北方向,有一座皇家宫苑叫太宁宫,主景区是琼华岛,岛上遍植松柏,顶部建广寒殿,秀若天成,宛如仙境。太宁宫,就是今北海公园的前身,金大定十九年(1179年)建成,当时的金朝的皇帝是金世宗。金世宗前任是海陵王,后任是金章宗。金世宗和金章宗在位时,金朝国泰民安,物产富足。尤其是金章宗,自身相当文艺,喜好诗词书法,游山玩水,加上汉学底蕴深厚,模仿宋徽宗的瘦金体惟妙惟肖,后人难辨真伪。太宁宫这样的人间美景,金章宗自是非常喜爱,携带佳丽三千,每年有三四个月时间住在岛上,处理朝政,流连忘返。
回到光泰门。据考证光泰门是中都北面最东边的门,离城外的太宁宫很近。显而易见,新增光泰门的作用,就是为了方便金朝皇帝前往太宁宫巡幸。而史料记载出现偏差,是因为《大金国志》只记录到海陵王在位时,那时还没有太宁宫,自然不会有光泰门。光泰门的开辟时间,没有具体文献记载,推算应该是在太宁宫建成后,也就是金世宗和金章宗在位的几十年间。
可奇怪的事情来了。1211年,成吉思汗领兵南下破居庸关,围困中都。时金帝为卫邵王,命军民奋起反抗,与蒙古人展开激烈巷战,使蒙古大军暂时北撤。《金史》中记载,1212年,金将胡沙虎给尚书省的移文(官署间的公文)提到蒙古大兵若再侵袭,中都的十二个城门,城外的太宁宫都将不保。金中都城门加上光泰门明明为十三个,为什么到了金末又变为十二个?
此时的金朝,外患重重,蒙古人的进攻使中都造成严重破坏,南城一带甚至成为废墟,于是有大臣向卫邵王进谏,不如将城门全部塞住,以抵御蒙古人的进攻。塞门死守之议,卫邵王没有接受,但作为只为方便出游的光泰门,早已失去存在的价值。蒙古人虎视眈眈,中都尚且不保,卫邵王哪里还有游玩的心情。于是,极有可能在卫邵王时期将光泰门重新堵住,少一个守城的薄弱点,同时也加强中都的防御能力。
光泰门,就在这熙熙攘攘中,走过短暂的一世。它见证一个朝代的辉煌,也目睹其衰败。好在文人墨客的诗歌中还存有“光泰门边避暑宫,翠华南去几年中”的描写,让人们能够在历史中记忆它的美好,品味它留下的印迹。












京公网安备 11010502035003号